Pest and Diseases

15 Bugs That Look Like Cockroaches

Source : proofpest

Cockroaches are insects that are flattened and have armored-like bodies. They have a pair of antennas on their head and come in different colors ranging from brown, black, and reddish in color. Cockroaches often look ugly and feed on food scraps.

People often get confused when distinguishing bugs from cockroaches as most bugs are elongated with a pair of antennas on their head, just like cockroaches. Additionally, bugs and cockroaches are of similar colors and might look alike from a distance.

1. Ground Beetles

Source : extension

As the name suggests, ground beetles are terrestrial beetles that dwell on lands. They commonly have an oval-shaped body, but some species of ground battles are shaped like a violin and are also called violin beetles. The head of an adult ground beetle also has strong mandibles and also consists of a pair of antennae.

Because of the oval-shaped body like a cockroach and a pair of antennae, it is common among people to label it as a cockroach. It is a carnivore and mainly feeds on other soil-dwelling insects, worms, and snails. It does not harm our buildings, or clothes and is not harmful to humans. 



How to Manage Ground Beetles?

As they are very sensitive to pesticides, their use should be avoided. If we want to remove them, we can use a vacuum or remove them physically. We can prevent their entry into our homes by sealing the entry points or using citrus peel as they repel Ground Beetles.

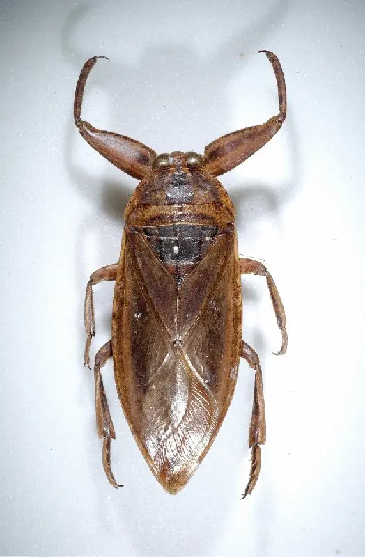
2. Giant Water Bug

Source : australian

As the name suggests, giant water bugs are found in ponds, marshes, and other freshwater habitats. The majority of water bugs are usually either brown or grey in color. Their body is flattened and elongated and is oval in shape. The hind legs consist of cilia that help them to propel water. 

Giant water bugs are also called water roaches, but unlike cockroaches, they do not have antennas. They often eat small fishes, snails, frogs, and other amphibians and crustaceans.

How to Manage Giant Water Bugs?

The best way to manage Giant Water Bugs is to remove them with the help of a net. Boric acid also kills these bugs, but it might not be a good idea.

Having giant water bugs in water bodies signifies a healthy ecosystem as they keep organisms like snails and minnows in check. It is not toxic but can give a painful bite to humans when we are in the water.

3. June bugs

Source : ugaurbanag

June bugs emerge from the soil somewhere around the month of June and hence got the name June bugs (Sometimes called May beetles if they emerge in May).

They have heavily built bodies that are oval in shape with a pair of clubbed antennae on their heads. Likewise, they have three pairs of legs; one pair in each of their body segment, and come in a variety of colors but are mostly red, brown, and black, and look almost like cockroaches in appearance.

How to Manage June bugs?

Essential oil made from rosemary, lemongrass, lavender, etc. can help to keep June bugs away. Placing a trap made by mixing 1/2 cup of water and 1/2 cup of molasses in a narrow bottle traps June bugs. Nematodes can also be introduced that prey on the larvae of June bugs.

June bugs are pests and cause serious damage to our vegetables, fruits, corn, potatoes, and other crops, especially when they are at the larva stage as they feed from roots to the foliage of a plant. Unlike cockroaches, they are attracted to light.

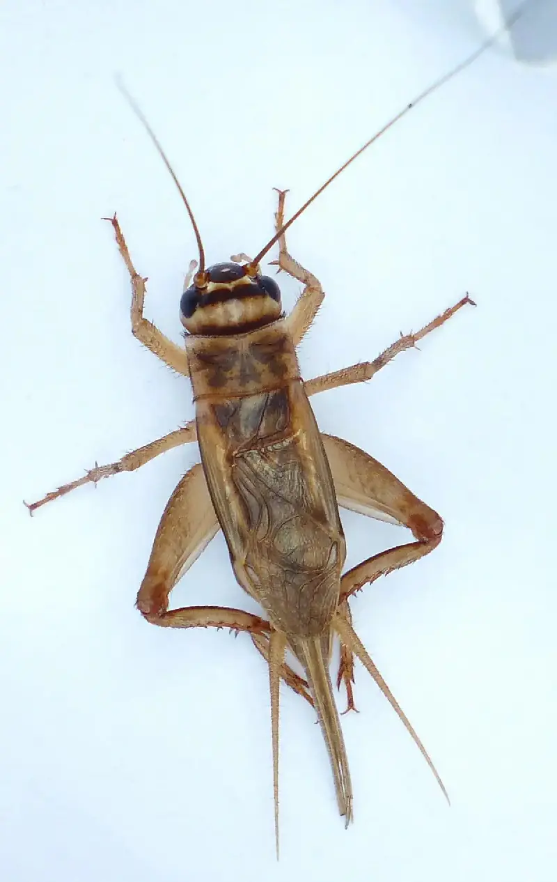
4. Crickets

Source : activepestcontrol

Some crickets might look like cockroaches, but they are related to grasshoppers and katydids. They have cylindrical bodies with a round head and a pair of long and thin antennas and come in different colors like black, brown, etc. in color.

They have three segment legs, and their hind legs are very strong which helps them to take a jump. They also have a pair of front wings and hind wings. Male crickets produce a distinctive chirping sound to attract females by rubbing their front wings.

How to Manage Crickets?

Preventing moisture inside our house, screening doors and windows, use of bug spray, and use of a vacuum can be some of the methods to manages them in our household.

Crickets are outdoor insects that feed on fruits, nectars, leaves, and other small insects. They, however, are rarely considered as pests. Sometimes they can accidentally enter our houses and might disturb us with their chirping sound. 

5. Brown Marmorated Stink Bug

Source : terro

As their name suggests, they release a stinking smell whenever they feel threatened or squashed. They are native to Asia but have become an invasive pest in the US.

They are black, brown, grey, or copper in color and might look like cockroaches from a far distance, but their body is very different from that of a cockroach. Their body is oval or shield-like in shape, with a small head and a pair of antennas. 

How to Manage Brown Marmorated Stink Bug?

They can be removed manually by hand or with the help of a vacuum or by preventing their entry by sealing their entry point. Pesticides are ineffective and are not suggested to remove the Brown Marmorated Stink Bug.

They feed on a variety of vegetables, fruits, and other crops including apples, peaches, apricots, etc., and cause significant damage in agricultural sectors. In addition, their smell might make our home unpleasant. 

6. Cicada

Source : kids

Cicadas are large insects with membraneous wings and are found in tropical and temperate regions. Like crickets, male Cicada also produces a distinctive high-pitched sound.

Cicadas have a comparatively large head with a pair of short antennas. When they fly, they often look like cockroaches. Although Cicadas are not known to cause significant damage to plants, they do affect the growth of young saplings in the nursery.

How to Manage Cicadas?

Young trees can be protected by placing a net around them. Pesticides are also ineffective against them.

7. Dobsonfly

Source : inaturalist

Dobsonflies are aquatic insects that are found in North America. Dobson flies do their feeding during the larval stage, while adults rarely feed as their long mandibles make it very difficult to feed.

They have a flattened body with a pair of long thread-like antennas. Unlike cockroaches, their mandibles are very long and curved. Although Dobson flies, especially the females can bite, no treatment is needed.

How to Manage Dobsonfly?

Dobsonfly can be managed by preventing moisture, sealing the entry points, and using yellow or sodium vapor light that is less attractive to insects.

8. Palmetto Bugs

Source : apartmenttherapy

They are reddish brown in color and similar to house cockroaches and are scavengers that feed on baked goods, meat, starchy food, etc.

Palmetto bugs share so much of their characteristics with cockroaches, however, they are attracted to light and are able to fly with the help of their wings, unlike cockroaches. They largely live outdoors but can infest our houses when they are accidentally introduced into our houses. 

How to Manage Palmetto bugs?

Proper sanitation, sealing entry points and cracks, insecticide spray, gel baits, and liquid baits. These chemicals should be kept away from the reach of children.

9. Bed Bugs

Source : the-sun

Bed bugs and baby cockroaches share many similar characteristics and people often get confused when distinguishing them. Although adult bed bugs are smaller than baby cockroaches, they share somehow similar body structure and color.

Additionally, bed bugs are more oval in shape and the antennas of baby cockroaches are much larger than bed bugs.

How to Manage Bed bugs?

Keeping your bed away from windows and walls, cleaning gutters periodically, removing infested items and treating them, using chemicals like bug bombs, etc. are some of the methods to manage bed bugs.

10. Mole Cricket

Source : rewildperth

A mole cricket's head consists of a pair of short antennas, which are significantly shorter than their body. They also have two pairs of wings (front wings are shorter than hind wings) which are often folded on their abdomen. From a distance, mole crickets resemble cockroaches. 

Mole crickets live in a moist environment like in paddy fields. Mole crickets are omnivores, while some are primarily herbivores and some canivores. 

How to Manage Mole Cricket?

Mole cricket can be managed by using chemical methods, or by sealing the gaps, and openings on our house. The best way to manage them is to sweep them up.

11. Rove Beetle

Source : a-z-animals

Rove Beetles are generally recognized by their short elytra (front wings) which provides them with flexibility. Because of this, they can enter narrow crevices with ease. They are often found in leaf litter, decomposed fruits, decaying trees, banks of rivers, ponds, or other aquatic bodies.

Although some Rove Beetles are oval in shape, the majority of them are elongated and smaller in size with black or brownish in color. Some rove beetles look like cockroaches from a distance. 

How to Manage Rove beetle?

Rove beetles are very beneficial to farmers and gardeners because they are the predators of various pests and insects. However, it can be managed by using insect repellent spray, bug bombs, or by using essential oils of menthol, limonene, etc. that repel insects.

Rove beetles usually feed on fungi, mites, soil insects, root maggots eggs and larvae, etc. Their presence restricts the growth of different pests, mites, files, felas, etc. 

12. Springtails

Source : terramatergardens

Springtails are very small in size and their body is elongated and covered with very minute scales. They may be grey or some other pale colors. They are a six-legged species that might look like baby cockroaches with moderate-length antennas.

Springtails are flightless but can jump to a great height with the help of their forked-shaped structure below their abdomen. They are found in soil and leaf litter and mainly feed on decaying organic materials, and sometimes damage vegetables as well as other crops. 

How to Manage Springtails?

Springtails are known to be resistant to certain insecticides. To reduce the number of springtails, we need to control the moisture in and around our house.

We need to fix leaky pipes and prevent the stagnation of water, as they are ideal for springtail growth. They can be controlled by drying out wet areas with a humidifier, removing moldy wood, reducing decaying plants in the garden, etc.

13. Earwigs

Source : aaipest

The body of Earwigs is elongated but flattened, and are winged or wingless. They are usually black or brown in color and have a pair of elongated antennas. In addition, their abdomen is long and flexible with two forceps-like structures at the end, which are used for defense, courtship, and carrying their food. 

They are usually found in a moist environment, usually under a log or stones, and feed on decaying materials of different plants and animals.

How to Manage Earwigs?

In order to manage Earwigs, we need to clean debris as well as their hiding places like logs, and wood piles. Earwigs love moist places, so we need to fix leaky pipes, and seal the cracks in the walls and crevices. Shady trees also provide them with a good habitat. Thus, these trees should be trimmed on a regular basis.

14. Click Beetles

Source : 6legs2many

Click beetles have long and narrow bodies with tapering or rounded ends, and are usually less than 2 cm in length. They are usually brown, black, or grey in color, while some are bright colors, especially in the tropics.

They have three pairs of legs and a pair of serrated or thread-like antennas. Click Beetles can jump a great height by lying on their back. Click Beetles usually feed on foliage, nectar, plant juices, roots, seeds, decaying organic matter, etc. while some eat the grubs of other beetles.

How to Manage Click Beetles?

The use of pesticides might not be the best option to manage Click Beetles. Click Beetles are often attracted by light.

So, they might enter our house from under the door or through windows at night when the light is turned on. The way to manage Click Beetles is to screen our doors and windows and repair the holes.

15. Wood Boring Beetle

Source : landscapeipm

Wood Boring Beetles are elongated, segmented, soft, and cylindrical or flattened. They can be of creamy, brown, or black colors. These beetles often infest dying trees and sometimes attack the dead trees too. 

How to Manage Wood Boring Beetle?

It's not always possible to prevent the infestation of Wood Boring Beetle. However, common practices of managing such beetles are sealing the exposed wood surface with polyurethane, varnishing or painting structural timber, reducing moisture in the structural woods, etc.